

























J-Plasma represents a paradigm shift in the way that we can resurface skin from above and tighten skin from below the skin’s surface. This next generation technology uses cold atmosphere plasma (CAP) to achieve a previously unobtainable level of tissue tightening and improvement. Loss of tissue elasticity and tone is a hallmark of aging skin. It is the characteristic change that makes one start to look older than one feels inside. Until recently, no surgical procedure or energy source achieved consistently significant tightening without an extensive recovery. Whether ultrasonic liposuction is used in conjunction with J-Plasma or not, there is hardly an area of the body that cannot be treated.

Have you ever wondered why babies who undergo fetal surgery heal without scars? The protective properties of the amniotic environment signal the fetal cells to behave in distinct ways that result in scarless healing. Recently, the ability to capture and isolate these signaling molecules became possible. This ushered in a new facet of Regenerative capability. Amnion is commonly used in specialties such as ophthalmology for healing of the eye surface. When amnion is applied to damaged skin, such as after laser or plasma resurfacing, the reduction in inflammation and rapid healing dramatically shortens the recovery time and likely reduces the risk of unexpected healing complications. Prolonged or irregular healing is a frequent deterrent for those interested in cosmetic procedure. Regenerative Medicine is moving towards removing those barriers by improving safety, shortening recovery and consistently providing more consistent results.
Science is only at the beginning of this journey utilizing one’s own cells to restore and/or rejuvenate.
Can you imagine using your own cells, coupled with biologically active signal molecules placed directly or regionally in an area of disease or concern, and those cells restoring the area to a pre-injury or rejuvenated state. Can you imagine the possibilities that this has, and it is all currently self-contained., inside you? This is the exciting and rapidly evolving field of Regenerative Medicine. We have cells in our bodies, concentrated in different tissues, that can be signaled in the right environment to turn into almost any cell that is needed. The question is, how to find and concentrate these cells and then put them where they are needed, with the assistance to do what we hope and expect them to do. Plastic surgeons have been and continue to be at the forefront of this innovative revolution in medicine. Stem cells are found in many tissues, but in highest concentration in fat. The harvest of fat through liposuction is one of the most common procedures performed for aesthetic purposes. The harvested fat is literally liquid gold, full of stem cells that can be concentrated, re-injected and activated to both restore and rejuvenate.
This area of medicine does not stop at the fat derived stem cells. Prior to the use of fat, PRP derived from one’s own blood can be centrifuged and separated into various layers. One particular layer, the buffy coat, is full of cells and factors that can be used by themselves (the Vampire Facial) or in combination with other cells, for example fat, to stimulate repair and rejuvenating changes. Whether PRP is introduced into irregular scars or thin, volume depleted skin of the face, the ability to actively modify tissue and return it to a more normal or youthful state is quite remarkable and real. PRP is commonly used as a stand-alone procedure, in conjunction with micro-needling and lasers, or during surgery to improve healing and recovery.
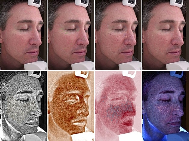
VISIA provides several comprehensive images to identify all aspects of your skins health both topically and below the surface.
This allows us to create a comprehensive treatment plan to address your skins needs and monitor your results.

3D viewing allows you to visualize the skin’s surface in three dimensions from any angle, rendered in natural skin tone.
The Vectra instantly captures a 3D image of the patient simulating the exciting possibilities of your anticipated aesthetic procedure.
Patients can view the effect of combining procedures such as rhinoplasty with chin augmentation or breast augmentation with a tummy tuck.
Automated breast measurements insure proper implant selection and symmetry by showing the difference in volume between the two breasts.

